Cumhurbaşkanı Recep Tayyip Erdoğan'ın imzasıyla 15.03.2025 tarihli Resmi Gazete kararları yayımlandı. Kültür ve Turizm Bakanlığı tarafından İzmir'in Bergama ilçesiyle ilgili verilen sit alanı kararları dikkat çekti. İzmir'in Bergama ilçesi Doğancı Mahallesi ve Aziziye Mahallesi sınırları içerisinde tespit edilen arkeolojik alanlar 1. derece arkeolojik sit olarak tescil edildi.
Sit alanı ilan edilen bölgeler nerede yer alıyor?
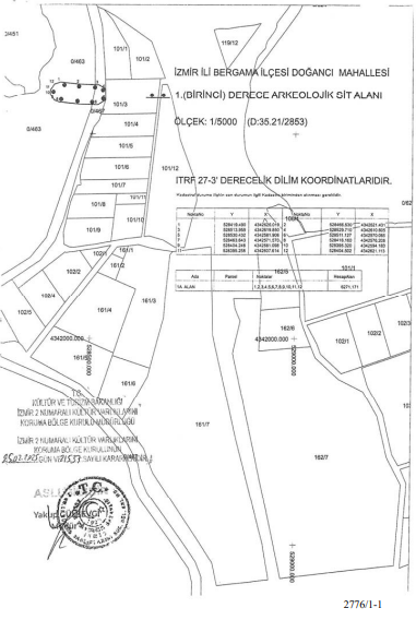
Prof. Dr. Felix PIRSON ve ekibi tarafından uzun bir süredir Bergama ve Kınık ilçelerinde sürdürülen arkeolojik yüzey araştırması çalışmaları çerçevesinde, Doğancı Mahallesi sınırları içerisinde yer alan 463 nolu mera parseli ile 467 nolu mera parseli içindeki arkeolojik alan ve Aziziye Mahallesi sınırları içerisinde bulunan 624 nolu mera parseli içerisindeki antik su kemeri ve devamındaki kalıntıların bulunduğu arkeolojik alan 1. derece arkeolojik sit olarak tescil edildi. Ayrıca, varlığı tespit edilen antik su kemerinin yapı grubu ise 1 olarak belirlendi.
Sit alanı ilan edilen edilen alanların haritaları ve koordinat listeleri şu şekilde!
Muhabir: Osman Günden


Yorumlar
Kalan Karakter: